image
image

7日の月曜日に来た当初のポチ君は 動画にある様にかなりの凶暴性が見られ、
シャンプーするスタッフさんにも噛みつきました、

image

しかし シェルターにはトレーナーさんも優しいスタッフさんも沢山居ますので、毎日みんなで抱っこをして美味しい物を食べさせて
慣らしました。💓👌💓

動画も有ります。🐶💓

image


二〜三日のトレーニングで

大人しく健康チェックも出来るようになりました、👌

今までもかなりの数をレスキューしましたが

これほど凶暴で噛みつく犬は初めてでした、😓

ましてセラピー犬としてしっかりしつけが入っていると 理事長から何回も聞いていたので驚きました。

これは悪口ではなく 今回の日本アニマルセラピー協会で悲惨な状況に居る犬達を助ける為に 事実を知って頂きたいと思い載せています、
知ることで変えられる事も 救える事もあるのです。
私達は犬達への愛情からこのレスキューを始めました、

いろいろなご意見も有るかと思いますが
まだこれから出される真実も よくご覧頂きたいと思います。

image

ポチ君は みんなの優しさに心を開いてくれる様になり、大人しく診察もさせてくれる様になっていますので ご安心下さい。

image


image


image



image
片目は見えていません、

image

年齢は10歳と聞いていますが 目や歯、皮膚、その他の所見から 15歳くらいは行っていると思います。
去勢もされていないので みんなひっきりなしにオシッコを掛けまくります💦😓💦

これでセラピー犬?

image


image


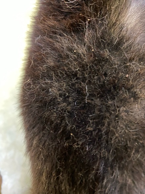
身体は酷い汚れで ノミやノミフン、フケや卵がいっぱいでした。😓💦



image

犬達を使って多額の寄付を集めていたのに
犬達にはワクチンもしていません。



image


下はボルゾイ達の身体中にいたノミです


image

image


どの子にも、
何百匹ものノミが付いて居ました💦

image

どの子もノミダニ、汚れで毛も抜けています。

image

暑くて暑くて 死んでしまった子もいるのです、、、これは虐待ではありませんか?


image
image

下は 日本アニマルセラピー協会のブログ記事に出ている 亡くなったセントバーナードです、6月にもセントバーナードが亡くなっていてそしてこの子、
次にはエアデールテリアが暑さの中息耐えたのです、

最後まで暑さやノミダニに苦しみ 汚いまま死んで行った犬達を見て どう思われますか?

幸せだったと思いますか?


年間何千万もの寄付を集めて 犬達にはこんな仕打ち、、、

これではピースワンコと変わりません、、、



image

ボルゾイ、ホワイトシェパードについていた
おびただしいノミの数、、、
どんな痒かったか わかりますか、

動画も会話の音声も有りますので 順番にアップして行きます、
事実をよくご覧下さい。



image

下はチワワ達の情報として貰ったメモ書きです


image

まともなセラピー犬ならば避妊去勢をするはずです、
発情や マーキング、オス同士の縄張り意識、いろいろな面で避妊去勢は必要です。


ワクチン未接種で多頭飼いは 伝染病が入ればみんな感染して亡くなる危険性があります。


8月10日二フロントラインをつけていたら
こんなノミはいないと思います。

チワワのフードが 1日150CCは ないでしょう、💦

image


まだ日本アニマルセラピー協会には 沢山の小型犬や大型犬も残っています、

それは又セラピー犬として使えるので出したくないそうです、
しかしこの様な ずさんな飼育管理の中で
病院にも掛けてもらえず 死んで行く犬達を思うと 辞めて貰いたいと思います、

皆様のご意見を 日本アニマルセラピー協会に届けて下さい。

皆様に記事のシェアを お願い致します🤲

知ってもらう事で 救える命があると思いますのでご協力をお願い致します。





ご支援のお願い

☆BLOGランキングに参加しています
☆一日一回2つのバナーをポチッと応援よろしくお願い致します(*^^*)


BLOG RANKING


にほんブログ村
にほんブログ村 犬ブログ 犬 里親募集へ


*活動を知っていただくために記事のシェアをお願い致します。ブログに記事を転載される場合は、本文をそのままご使用ください。写真だけの転載・転用はお断りしております